
Periods of moderate to heavy lake effect snow will continue through Friday downwind of Lake Erie and Ontario. Several additional inches of accumulating snow are expected. A Pacific storm will bring heavy rain and mountain snow across California, the Southwest and Intermountain West today. Isolated severe thunderstorms and scattered flash flooding is possible across parts of southern California. Read More >
|
Tornado near Octa, OH |
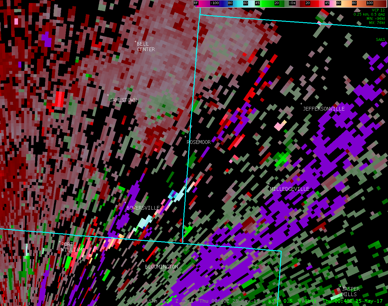
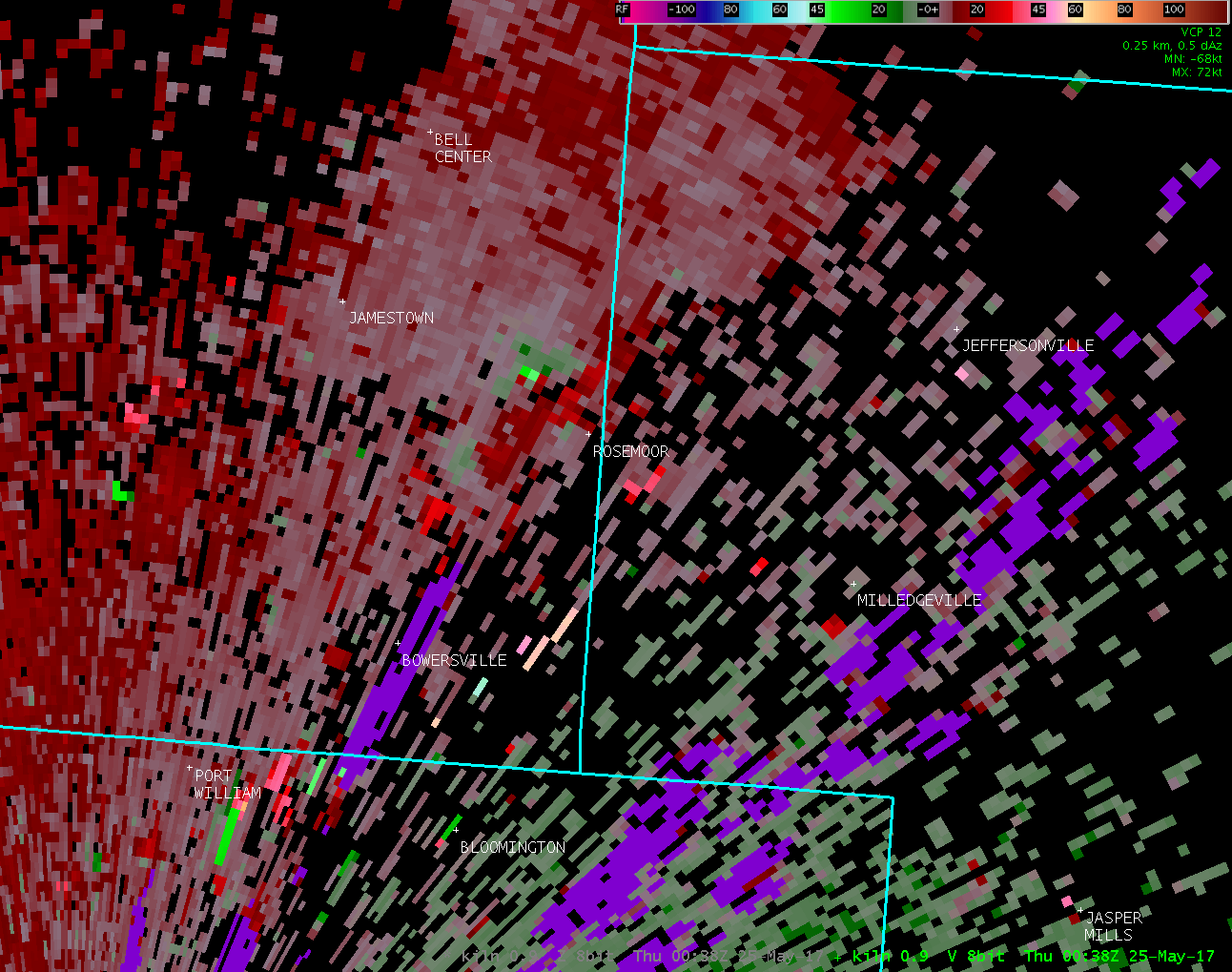
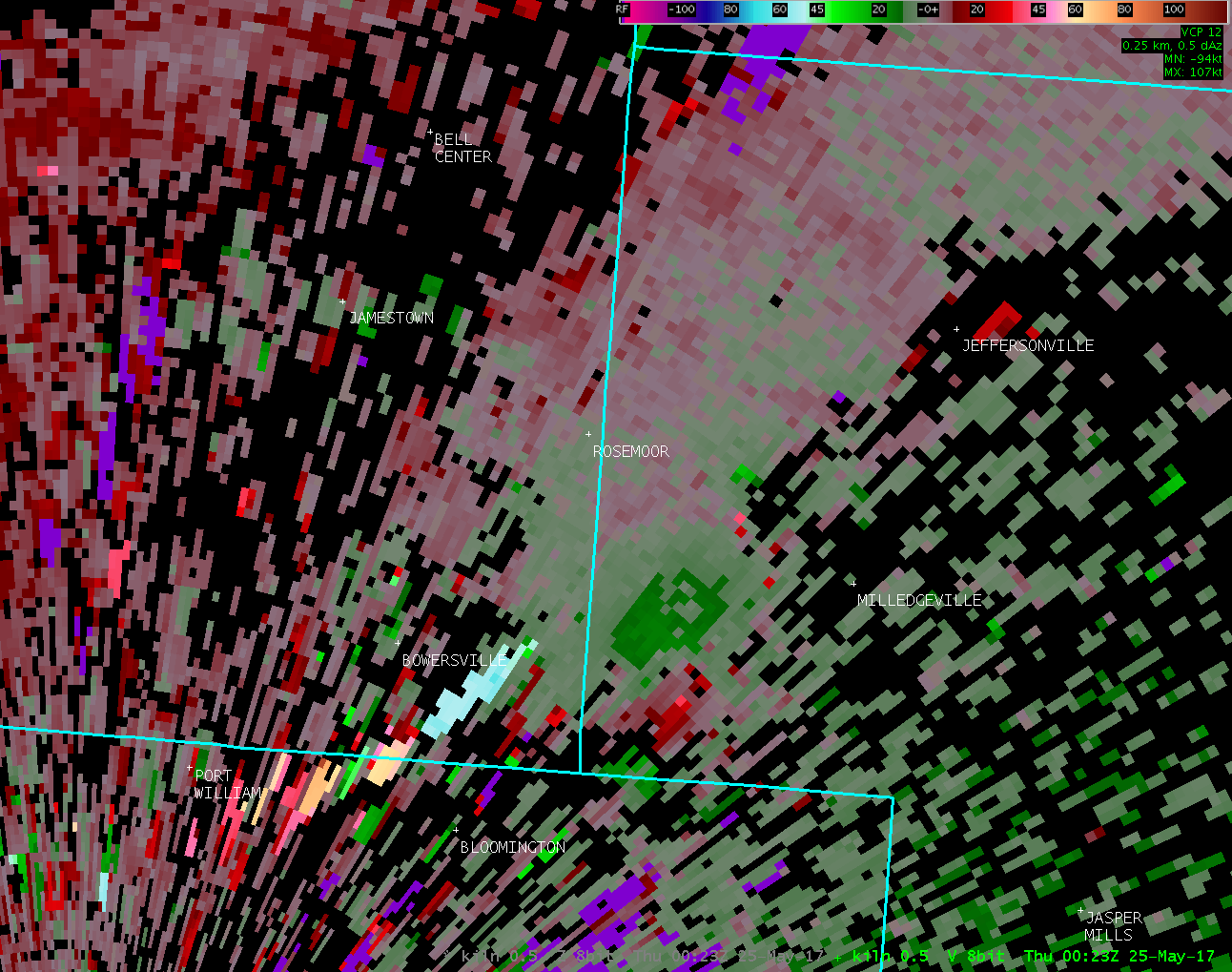
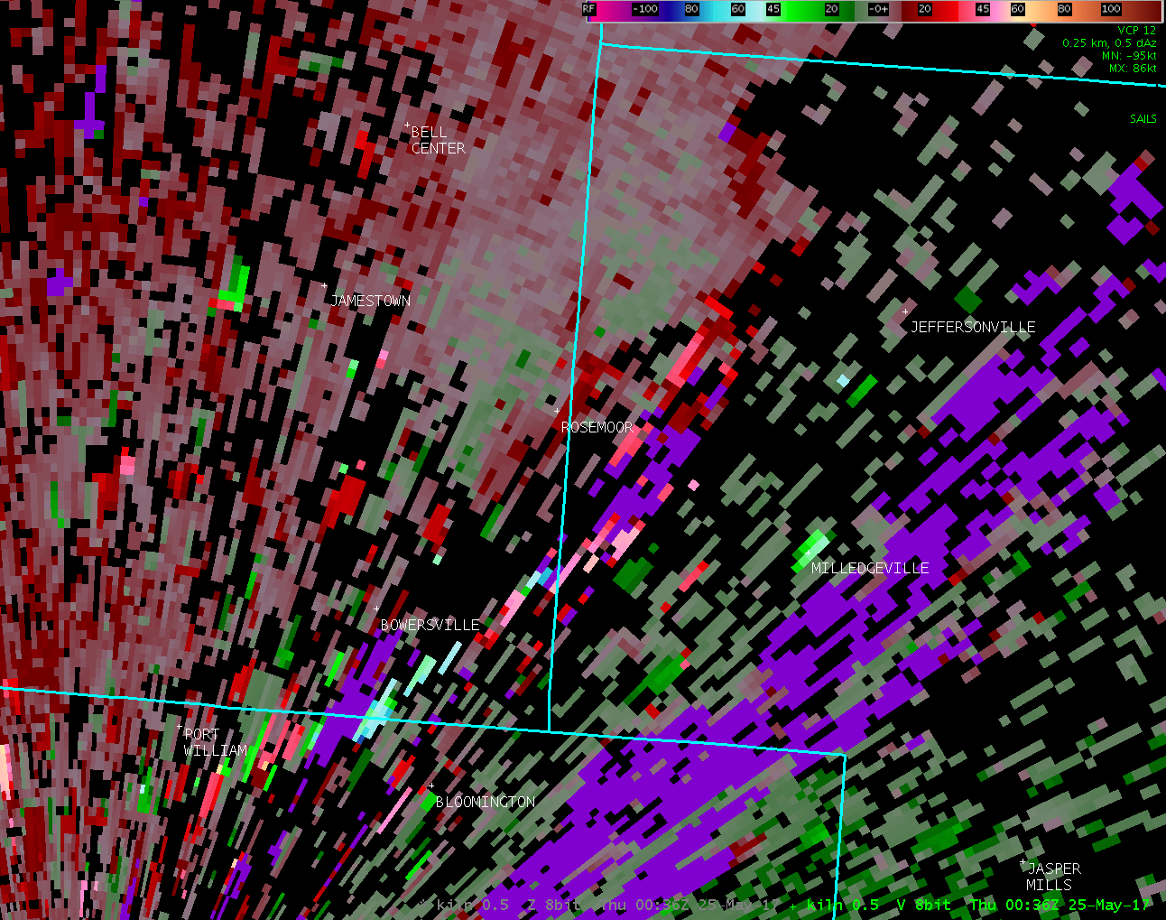
Public Information Statement National Weather Service Wilmington OH 119 PM EDT Fri May 26 2017 ...TORNADO CONFIRMED NEAR 3 WSW OCTA IN FAYETTE COUNTY OHIO... Location...3 WSW Octa in Fayette County Ohio Date...May 24 2017 Estimated Start Time...8:27 PM Estimated End Time...8:36 PM Maximum EF-Scale Rating...EF0 Estimated Maximum Wind Speed...50 MPH Maximum Path Width...25 Yards Path Length...3.0 Miles Beginning Lat/Lon...39.5824N / 83.6584W Ending lat/Lon...39.6173N / 83.6901W * Fatalities...0 * Injuries...0 * The information in this statement is preliminary and subject to change pending final review of the event(s) and publication in NWS Storm Data. ...Summary... The National Weather Service in Wilmington OH has confirmed a tornado near 3 WSW Octa in Fayette County Ohio on May 24 2017. Based on radar data, video evidence and eyewitness reports, the tornado appeared to first touch down about 3 miles WSW of Octa in extreme western Fayette County. The tornado then moved northwest into far eastern Greene County, appearing to make occasional contact with the ground, before dissipating about 4 miles southeast of Jamestown. As the tornado moved through primarily empty farm fields, there was little in the way of damage found. Therefore, maximum winds were estimated to be 50 MPH, equivalent to a weak EF0 tornado. For reference: the Enhanced Fujita Scale classifies tornadoes into the following categories: EF0...wind speeds 65 to 85 mph. EF1...wind speeds 86 to 110 mph. EF2...wind speeds 111 to 135 mph. EF3...wind speeds 136 to 165 mph. EF4...wind speeds 166 to 200 mph. EF5...wind speeds greater than 200 mph. $$ |
| Radar Loops from NWS Wilmington Ohio (8:21 PM - 8:40 PM) | |
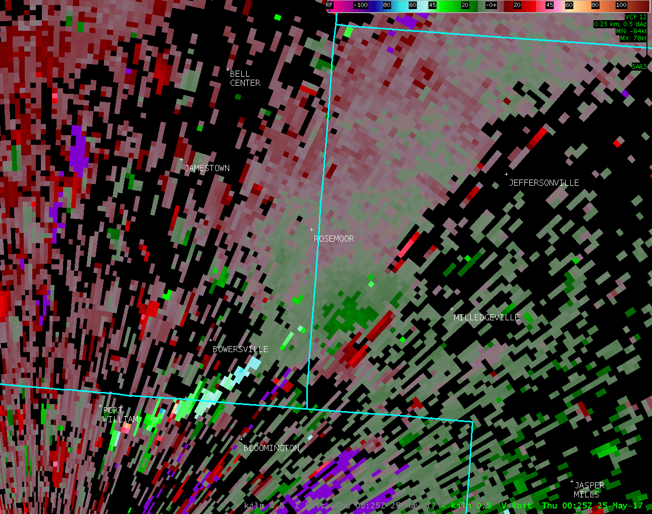
| KILN 0.5° Reflectivity | KILN 0.5° Velocity |
| 1 2 3 4 5 6 7 8 9 10 11 12 | 1 2 3 4 5 6 7 8 9 10 11 12 |
| KILN 0.9° Reflectivity | KILN 0.9° Velocity |
| 1 2 3 4 5 | 1 2 3 4 5 |
| KILN 1.3° Reflectivity | KILN 1.3° Velocity |
| 1 2 3 4 5 | 1 2 3 4 5 |
| Radar Loops from the Dayton Terminal Doppler Radar (8:25 PM - 8:40 PM) | |
| TDAY 0.3° Reflectivity | TDAY 0.3° Velocity |
| 1 2 3 4 5 6 7 8 9 10 11 12 13 14 15 16 | 1 2 3 4 5 6 7 8 9 10 11 12 13 14 15 16 |