National Weather Service United States Department of Commerce

 

 

Piney Grove EF-0 Tornado (Fayette County)
  April 21, 2023

 

Event Summary

EF-0
Estimated Maximum Wind:
80 mph
Injuries/Fatalities:
None
Damage Path Length:
2.28 miles
Maximum Path Width:
125 yards
Approximate Start Point/Time:
4 NW Bankston
33.7089/-87.7186
at 734 PM CDT
Approximate End Point/Time:
4 NNW Bankston
33.7249/-87.6843
at 739 PM CDT 

 

National Weather Service meteorologists conducted a storm survey in central Fayette County and determined the damage was due to a small EF0 tornado.

The damage path began just west of County Road 77 with minimal tree damage. Several tree limbs were downed and a couple trees were uprooted across a pasture as well. Along County Road 101 at Piney Grove Road, a few trees and tree limbs were downed, with a small tree falling on a small detached carport, knocking it down. Several trees were uprooted around a house on Piney Grove Road, and numerous trees were downed in an inaccessible area between Piney Grove and Avery Gray Road. Along Heartline Road, a couple trees were uprooted and some roofing was peeled up on an older manufactured home. At Rocky Hill Drive, numerous small tree limbs were scattered throughout a field and a large limb was broken out of a pine tree. A small pine tree was uprooted along County Road 67 as the path ended.

The data is PRELIMINARY and may be subject to change.

 

 

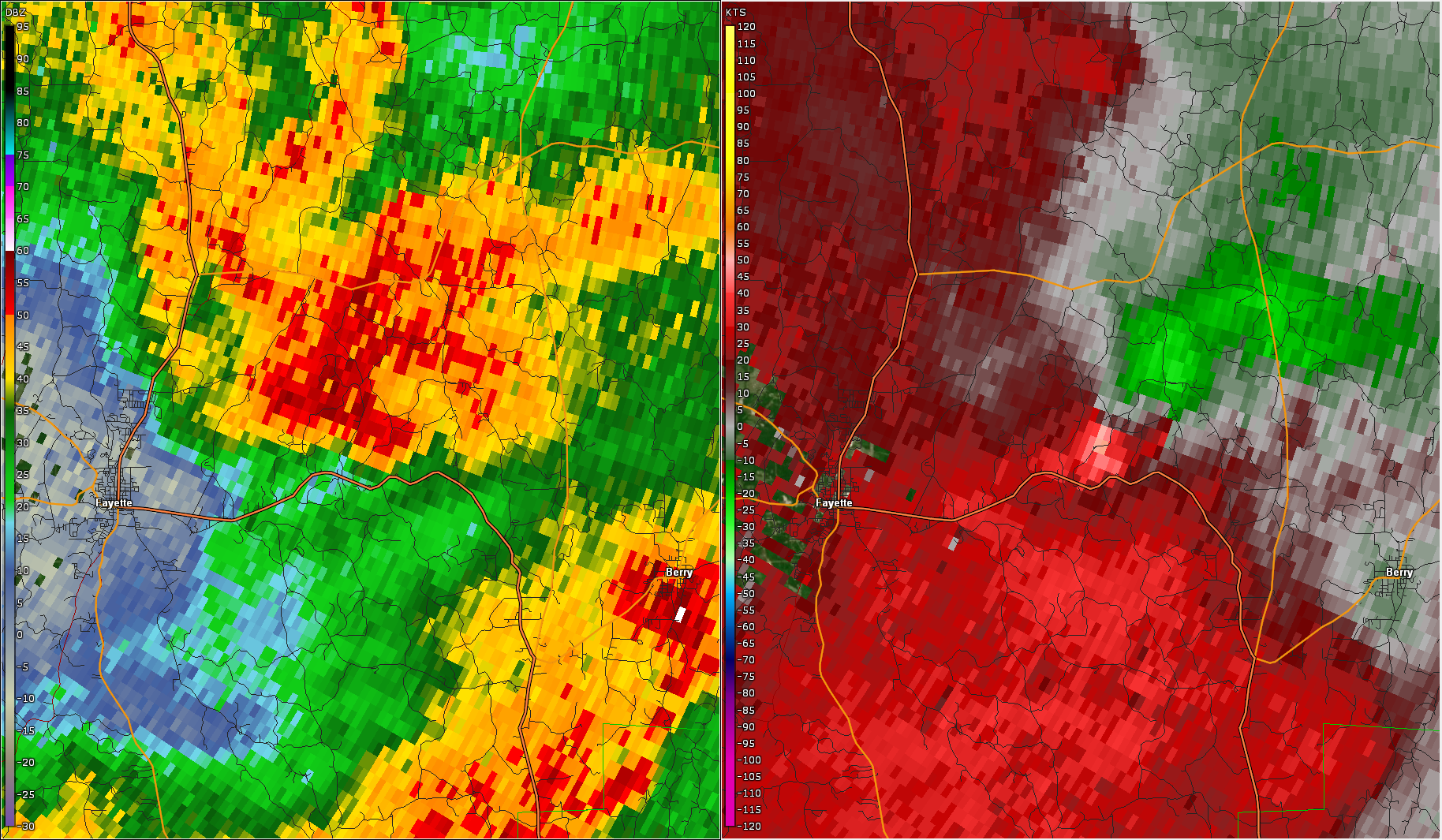
Radar Image
Reflectivity (left) and velocity (right) of the circulation.
Images from KGWX at 735 PM CDT.

 

Damage Photo
 Tree and roof damage.