
Showers, along with a few strong to severe thunderstorms, are expected from the Great Lakes, New England and southward into the Ohio and Tennessee Valleys. In the wake of this system, a stronger storm is expected to track from the Pacific Northwest, Plains and through the Eastern U.S. this weekend. Strong winds, showers and a larger drop in temperatures are expected this weekend into Monday. Read More >
Event Summary:

Warrens, WI Tornado - F1
Overview:
A tornado quickly developed about 3 miles west of Warrens, WI, near Arctic Road just west of Interstate 94 around 7:00 p.m. on Wednesday June 23rd. It hit a home along Interstate 94, then crossed the Interstate hitting a semi-truck, before moving into Jellystone Campground just west of Warrens. The tornado and associated strong winds around the storm knocked down hundreds of trees in this area, and damaged several tents, buildings, campers, and cars in Jellystone Campground. The tornado continued just southwest of Warrens and hit a home, blowing the roof off, south of the village along County Road O. It lifted about 2 miles southeast of Warrens around 7:15 p.m..
The tornado path was approximately 4.5 miles in total length with a maximum width of 50 yards. The tornado was rated an F1 on the Fujita Damage Scale. Wind speeds were likely 90 to 112 mph with most of the damage related to downburst winds around the actual tornado. At least 3 people were hospitalized briefly for injuries but there no fatalities.
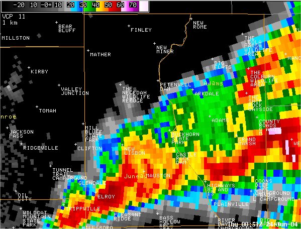
Radar Images:
Damage Photos:
Most from the Jellystone Campground...
![]() |
![]() |
![]() |
![]() |
![]() |
![]() |
![]() |
![]() |
![]() |
![]() |
![]() |
Adams/Juneau County, WI Tornado - F1
Overview:
Another tornado formed in extreme eastern Juneau County, about 2 miles west of Castle Rock Dam, Wednesday evening. The tornado moved east-northeast across Castle Rock Lake and into western Adams County, Wisconsin. It tracked near or along Edgewood Ave with extensive tree damage to the Quincy Bluff area, including the lookout Ranger tower there. Hundreds of trees were blown down from strong winds rotating around the tornadic thunderstorm, in excess of 90 mph at times.
The tornado intermittently tracked east to areas just north of Edgewood Drive crossing Highway 13 approx. 5 miles south of Adams/Friendship. Downburst winds on the south side of the storm demolished at least 8 mobile homes in Edgewood Estates that were orientated north-south and took the full brunt of the cross wind. This was the same area hit by severe weather a few years back. Most of the Town of Easton had extensive damage with hundreds of trees down.
It continued to move east-southeast before lifting shortly before the Adams-Marquette County line about 3 miles southeast of Grand Marsh around 7:55 pm.
A broad area of straight line wind damage was found south of this tornado track with widespread tree damage occurring up to 1 mile south of the track.
The tornado path was approximately 17 to 18 miles in length. The tornado was rated an F1 on the Fujita Damage Scale with estimated wind speeds in the 73 to 112 mph range. There were no fatalities reported and only minor injuries.
Click here to see a detailed map of damage in Adams County, WI (PDF). Map courtesy of Adams County Emergency Management and Adams County Register of Deeds.
Radar Images:
Animations (7:11 to 7:51 p.m. CDT):
Individual Images:
Damage Photos:
![]() |
![]() |
![]() |
![]() |
![]() |
![]() |
![]() |
Taylor, WI Tornado - F1
Overview:
A survey in Jackson county confirmed that an F0 tornado touched down initially about 1-1/2 miles north of Taylor in far western Jackson county around 622 pm. This tornado appeared to touch down sporadically during the first two miles of its path as it moved east southeastward across highway 95. It then strengthened and stayed on the ground for another 3 miles. Many trees were knocked down, and it also demolished a garage and took the roof off two other structures. The tornado reached F1 strength (estimated 75-85 mph winds) briefly as it moved through the Davis and Taylor road areas where it demolished the garage approximately 2 miles northeast of Taylor. This tornado appeared to lift approximately 4 miles east of Taylor around 628 pm.
About 3 tenths of a mile to the south of where the first tornado lifted, a second tornado formed. This tornado primarily caused tree damage. Shortly after formation it reached F1 strength (estimated 80-100 mph winds), clearing out a path about 30 yards wide through a wooded area just north of West Pine Creek road. This tornado weakened about 5 miles east of Taylor, but caused sporadic F0 damage until it finally lifted around 632 pm About 8 miles east of Taylor in the East Pine Creek road area.
Total path length of these two tornadoes was a little over 8 miles. They were on the ground for about 10 minutes.
Only minor injuries sustained.
Radar Images:
Damage Photos:
![]() |
![]() |
![]() |
![]() |
![]() |
Summarized Severe Weather Reports
..TIME... ...EVENT... ...CITY LOCATION... ...LAT.LON...
..DATE... ....MAG.... ..COUNTY LOCATION...ST.. ...SOURCE....
..REMARKS..
0519 PM HAIL TROY 43.86N 92.07W
06/23/2004 0.75 INCH WINONA MN CO-OP OBSERVER
0533 PM TSTM WND GST WEST CONCORD 44.15N 92.90W
06/23/2004 50 MPH DODGE MN LAW ENFORCEMENT
0538 PM TSTM WND GST 3 S ZUMBRO FALLS 44.29N 92.43W
06/23/2004 80 MPH WABASHA MN LAW ENFORCEMENT
0538 PM TSTM WND DMG PRESTON 43.67N 92.08W
06/23/2004 FILLMORE MN LAW ENFORCEMENT
LARGE TREE DOWN BLOCKING ROADWAY
0538 PM TSTM WND GST ZUMBRO FALLS 44.29N 92.43W
06/23/2004 60 MPH WABASHA MN LAW ENFORCEMENT
0545 PM TSTM WND DMG WABASHA 44.37N 92.05W
06/23/2004 WABASHA MN LAW ENFORCEMENT
TREES AND POWER LINES DOWN IN THE CITY
0547 PM TSTM WND DMG 2 SE WABASHA 44.35N 92.02W
06/23/2004 WABASHA MN LAW ENFORCEMENT
TREES AND POWER LINES DOWN IN THE SAND PRAIRIE AREA
0548 PM HAIL 3 NW AMHERST 43.61N 91.92W
06/23/2004 0.88 INCH FILLMORE MN AMATEUR RADIO
DIME TO NICKEL SIZE HAIL COVERING GROUND. HAIL STRIPPED
AND DESTROYED BEAN FIELD
0552 PM HAIL MONDOVI 44.57N 91.67W
06/23/2004 0.88 INCH BUFFALO WI LAW ENFORCEMENT
0557 PM TSTM WND DMG MONTANA 44.35N 91.67W
06/23/2004 BUFFALO WI LAW ENFORCEMENT
POLE BARN SHED BLOWN OVER
0613 PM TSTM WND GST ARCADIA 44.25N 91.49W
06/23/2004 60 MPH TREMPEALEAU WI AMATEUR RADIO
0615 PM HAIL ARCADIA 44.25N 91.49W
06/23/2004 0.75 INCH TREMPEALEAU WI AMATEUR RADIO
0620 PM HAIL PLEASANTVILLE 44.45N 91.30W
06/23/2004 1.00 INCH TREMPEALEAU WI PUBLIC
0620 PM TSTM WND DMG WHITEHALL 44.37N 91.31W
06/23/2004 TREMPEALEAU WI PUBLIC
LARGE TREE DOWN BLOCKING MAIN STREET
0621 PM HAIL PRICE 44.58N 91.05W
06/23/2004 0.88 INCH JACKSON WI TRAINED SPOTTER
0621 PM TSTM WND GST PRICE 44.58N 91.05W
06/23/2004 65 MPH JACKSON WI TRAINED SPOTTER
0623 PM HAIL 5 W HIXTON 44.38N 91.11W
06/23/2004 0.75 INCH JACKSON WI CO-OP OBSERVER
0625 PM HAIL 6 S RENO 43.51N 91.28W
06/23/2004 0.88 INCH HOUSTON MN AMATEUR RADIO
0626 PM TSTM WND DMG 3 E TAYLOR 44.32N 91.06W
06/23/2004 JACKSON WI LAW ENFORCEMENT
2 BARNS DOWN ALONG LINCOLN ROAD
0628 PM HAIL NEW ALBIN 43.50N 91.29W
06/23/2004 0.88 INCH ALLAMAKEE IA LAW ENFORCEMENT
0630 PM TSTM WND DMG 10 E PRICE 44.58N 91.05W
06/23/2004 JACKSON WI LAW ENFORCEMENT
LARGE TREES DOWN NEAR FAIRCHILD.
0630 PM HAIL 10 E PRICE 44.58N 90.85W
06/23/2004 0.75 INCH CLARK WI LAW ENFORCEMENT
0635 PM HAIL VICTORY 43.48N 91.22W
06/23/2004 0.75 INCH VERNON WI CO-OP OBSERVER
0645 PM HAIL TOMAH 43.99N 90.50W
06/23/2004 0.75 INCH MONROE WI AMATEUR RADIO
0645 PM TSTM WND GST FOUR CORNERS 44.08N 90.91W
06/23/2004 60 MPH MONROE WI TRAINED SPOTTER
TWO SMALL TREES DOWN
0645 PM TORNADO 2 N BLACK RIVER FALLS 44.33N 90.85W
06/23/2004 JACKSON WI EMERGENCY MNGR
TWO SEMIS REPORTED DAMAGED ON FREEWAY
0647 PM TSTM WND GST NEILLSVILLE 44.56N 90.59W
06/23/2004 60 MPH CLARK WI PUBLIC
0647 PM TSTM WND GST SHAMROCK 44.18N 90.80W
06/23/2004 60 MPH JACKSON WI LAW ENFORCEMENT
0647 PM HAIL NEILLSVILLE 44.56N 90.59W
06/23/2004 0.75 INCH CLARK WI PUBLIC
0647 PM HAIL SHAMROCK 44.18N 90.80W
06/23/2004 0.75 INCH JACKSON WI LAW ENFORCEMENT
0649 PM HAIL NEILLSVILLE 44.56N 90.59W
06/23/2004 0.75 INCH CLARK WI AMATEUR RADIO
0649 PM TSTM WND DMG 1 S NEILLSVILLE 44.55N 90.59W
06/23/2004 CLARK WI LAW ENFORCEMENT
TREES BLOWN OVER HWY 73
0650 PM TSTM WND DMG CATARACT 44.09N 90.83W
06/23/2004 MONROE WI AMATEUR RADIO
6 TO 10 INCH TREES DOWN
0653 PM HAIL GRANTON 44.59N 90.46W
06/23/2004 0.75 INCH CLARK WI LAW ENFORCEMENT
0653 PM TORNADO 10 E BLACK RIVER FALLS 44.30N 90.64W
06/23/2004 JACKSON WI AMATEUR RADIO
0653 PM TSTM WND GST GRANTON 44.59N 90.46W
06/23/2004 59 MPH CLARK WI AMATEUR RADIO
0658 PM TSTM WND DMG 2 E SOLDIERS GROVE 43.39N 90.73W
06/23/2004 CRAWFORD WI AMATEUR RADIO
2 LARGE TREES DOWN ALONG COUNTY ROAD X NEAR BOYLE ROAD
0658 PM HAIL SOLDIERS GROVE 43.39N 90.77W
06/23/2004 0.75 INCH CRAWFORD WI AMATEUR RADIO
DIME SIZE HAIL COVERING THE GROUND IN SOLDIERS GROVE
0700 PM HAIL 7 N TOMAH 44.09N 90.50W
06/23/2004 0.75 INCH MONROE WI AMATEUR RADIO
0704 PM TORNADO WARRENS 44.13N 90.50W
06/23/2004 F1 MONROE WI NWS STORM SURVEY
*** 3 INJ *** PRELIMINARY STORM SURVEY CONFIRMED 3
INJURIES AND PRODUCED A PRELIMINARY LOW F1 DAMAGE RATING
FOR THIS TORNADO. TWO OF THE INJURIES OCCURRED IN
JELLYSTONE CAMPGROUND...THE THIRD OCCURRED IN A HOUSE
JUST WEST OF INTERSTATE 94.
0704 PM TORNADO WARRENS 44.13N 90.50W
06/23/2004 MONROE WI AMATEUR RADIO
AT MILE MARKER 135/136 ON I-94
0710 PM HAIL 3 W BOSSTOWN 43.38N 90.68W
06/23/2004 0.88 INCH CRAWFORD WI PUBLIC
PUBLIC REPORTED NICKEL SIZE HAIL
0720 PM FUNNEL CLOUD 3 N MAUSTON 43.84N 90.08W
06/23/2004 JUNEAU WI LAW ENFORCEMENT
0723 PM HAIL 2 N BUCKHORN STATE PARK 43.95N 89.98W
06/23/2004 2.00 INCH JUNEAU WI PUBLIC
TREE TOP BROKEN OFF.
0726 PM TSTM WND DMG NORWALK 43.83N 90.63W
06/23/2004 MONROE WI AMATEUR RADIO
TREES DOWN
0731 PM HAIL 8 NE NEW LISBON 43.96N 90.05W
06/23/2004 1.00 INCH JUNEAU WI LAW ENFORCEMENT
CORRECTED LOCATION FROM PREVIOUS REPORT. HAIL OCCURRED IN
GERMANTOWN TOWNSHIP.
0733 PM HAIL 1 S ADAMS 43.94N 89.82W
06/23/2004 1.75 INCH ADAMS WI LAW ENFORCEMENT
0738 PM TSTM WND GST 1 NE WHITE CREEK 43.85N 89.85W
06/23/2004 60 MPH ADAMS WI LAW ENFORCEMENT
0743 PM TORNADO 3 SW GRAND MARSH 43.90N 89.71W
06/23/2004 ADAMS WI LAW ENFORCEMENT
TORNADO DAMAGED SEVERAL MOBILE HOMES IN AREA
0743 PM TSTM WND DMG 6 S ADAMS 43.87N 89.82W
06/23/2004 ADAMS WI AMATEUR RADIO
MULTIPLE TREES DOWN
0750 PM TSTM WND DMG 2 S BROOKS 43.79N 89.63W
06/23/2004 ADAMS WI AMATEUR RADIO
1 10 INCH DIAMETER TREE DOWN AND SEVERAL 10 INCH DIAMETER
BRANCHES DOWN. 1 BRANCH FELL ON TENT AT CAMPGROUND. NO
INJURIES.